Tierklinik im Tierzentrum Gelnhausen

Endoskopie in der Tiermedizin – Präzise Diagnostik für Ihr Tier

In unserer Tierklinik bieten wir Ihnen moderne endoskopische Verfahren, die eine präzise und schonende Untersuchung und Behandlung Ihres Tieres ermöglichen. Wir sind damit in der Lage, viele Krankheiten frühzeitig zu erkennen und zielgerichtet zu behandeln. Die Endoskopie ist eine Technik, bei der wir mit flexiblen, spezialisierten Instrumenten in verschiedene Organe und Körperhöhlen Ihres Tieres blicken – ganz ohne größere Operationen. So können wir schnell und genau Diagnosen stellen und gleichzeitig den Stress und die Heilungszeit für Ihr Tier minimieren.


Zu den häufig eingesetzten endoskopischen Verfahren in unserer Klinik gehören:

  • Gastroskopie: Mit einem flexiblen Endoskop untersuchen wir den Magen-Darm-Trakt Ihres Tieres, um Erkrankungen wie Entzündungen, Tumore oder Fremdkörper zu erkennen. Oft können wir dabei auch sofort therapeutische Maßnahmen ergreifen, zum Beispiel das Entfernen von Fremdkörpern oder die Entnahme von Gewebeproben für eine Biopsie.

  • Bronchoskopie: Hierbei wird die Lunge und die Atemwege Ihres Tieres auf Veränderungen wie Entzündungen, Tumore oder Fremdkörper untersucht. Diese Methode ermöglicht eine direkte Betrachtung der Atemwege und ist besonders hilfreich bei chronischen Atemwegserkrankungen. Ebenso ist so eine präzise Probenahme für histologische und bakterielle Untersuchungen möglich.

  • Rhinoskopie: Bei der Rhinoskopie wird die Nasenhöhle und die oberen Atemwege Ihres Tieres untersucht. Diese Untersuchung hilft bei der Diagnose von Erkrankungen wie Entzündungen, Tumoren oder Fremdkörpern in der Nase und den Nasennebenhöhlen.

Diese Verfahren sind besonders vorteilhaft, weil sie eine schnelle und präzise Diagnose ermöglichen, ohne dass Ihr Tier einer größeren Operation unterzogen werden muss. Viele Eingriffe können direkt während der Untersuchung durchgeführt werden, wie das Entfernen von Fremdkörpern oder das Entnehmen von Gewebeproben für weiterführende Untersuchungen. Unser Team aus erfahrenen Tierärzten sorgt dafür, dass alle endoskopischen Untersuchungen mit höchster Präzision und größter Sorgfalt durchgeführt werden. Ihr Tier wird während des gesamten Verfahrens sorgfältig betreut, sodass der Eingriff so stressfrei wie möglich verläuft.

Setzen Sie auf die Vorteile der Endoskopie – eine schonende und präzise Methode zur Diagnose und Behandlung von Erkrankungen bei Ihrem Tier!

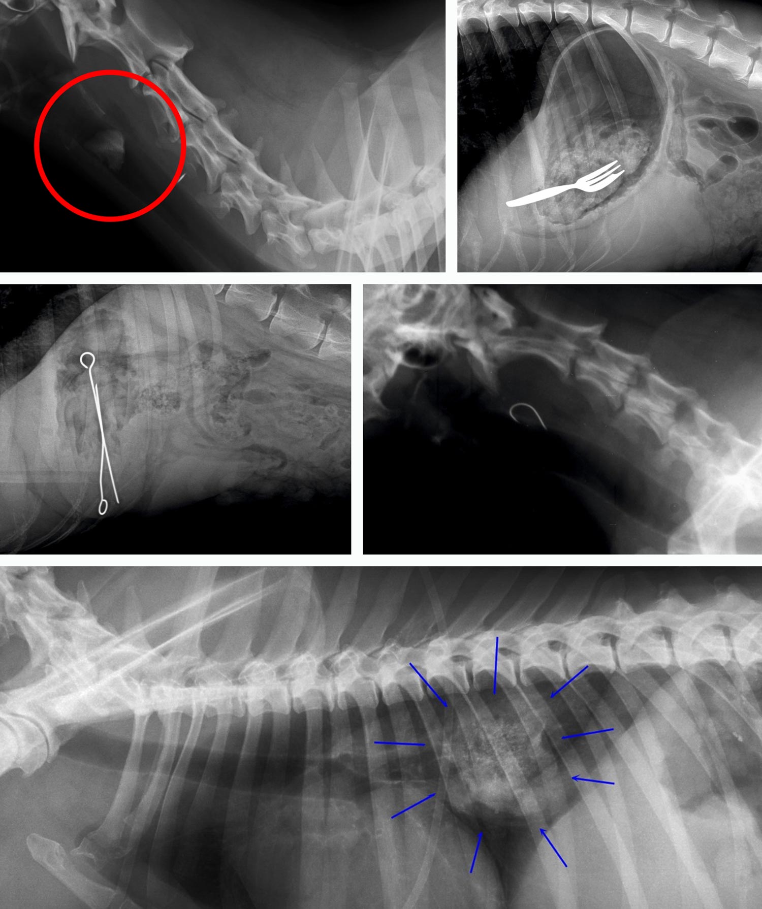
Einblicke ins Verborgene – Fremdkörper im Verdauungstrakt
Auf diesen Röntgenaufnahmen sehen Sie Beispiele von Fremdkörpern, die Tiere verschluckt haben. Von Spielzeugteilen bis hin zu ungewöhnlichen Objekten – solche Fälle begegnen uns in der Tiermedizin regelmäßig. Dank moderner Endoskopie-Technik können wir viele dieser Fremdkörper schonend und ohne größere Operation entfernen. Sollte Ihr Tier Symptome wie Erbrechen, Appetitlosigkeit oder Unwohlsein zeigen, zögern Sie nicht, uns zu kontaktieren.

Sie wollen mehr wissen?

Lesen Sie hier, wie wir Ihr Tier medizinisch versorgen und betreuen können.